伯豪生物
文獻解讀 | 空間轉錄組在神經科學應用的新思路
發布時間:2020-10-21 瀏覽次數:12374
生命科學研究技術在不斷發展和進步,生物學的研究層面也在不斷拓展,從組織到細胞再到細胞的空間分布定位,生命科學的研究正在進行從二維到三維的巨變??臻g轉錄組是這一轉變的引領者之一。

生命科學研究技術在不斷發展和進步,生物學的研究層面也在不斷拓展,從組織到細胞再到細胞的空間分布定位,生命科學的研究正在進行從二維到三維的巨變??臻g轉錄組是這一轉變的引領者之一。

01. 文章展示

文章題目:Transcriptome-scale?spatial?gene?expression?in?the?human?dorsolateral?prefrontal?cortex

雜志名稱:BioRxiv

發表單位:約翰霍普金斯大學,10x?Genomics

發表時間:2020.02.28

主要技術:10x?Genomics?Visium? 空間基因表達解決方案

02. 技術背景

人類大腦結構非常復雜,一般認為大腦的空間結構與大腦的功能密切相關,大腦的不同區域對應著不同的功能,然而常規 scRNA-seq 測序數據丟失了細胞的空間位置信息。另外由于大腦神經元比較脆弱,目前多數 scRNA-seq 的組織消化方式難以保證大量神經元的存活,同時由于大腦組織的特殊性,許多樣本經過冰凍處理,只能使用 snRNA-seq 抽細胞核的方式獲取數據。這種方式則丟失了細胞質及軸突和近端樹突信息,而越來越多的文獻研究結果表明,snRNA-seq 方法遺漏的核外信息可能與理解大腦疾病的遺傳風險特別相關。10x?Genomics?Visium 空間轉錄組技術在玻片上合成 cDNA, 克服了 scRNA-seq 和 snRNA-seq 技術的局限性,既保留了細胞空間坐標也保留了組織中完整的細胞內信息。今天分享的文章就是應用 10x?Genomics?Visium 空間轉錄組技術發表的首篇文章。

03. 主要研究成果

1. 鑒定了人腦組織中層富集(layer-enriched)基因,描繪了 DLPFC 基因表達圖譜

2. 單細胞空間轉錄組數據結合 snRNA-seq 數據加強了細胞空間注釋準確性

3. 通過整合分析神經精神病基因集發現人腦組織中層富集(layer-enriched)基因和精神分裂癥及自閉癥譜系障礙相關,說明空間轉錄組相關技術可以應用于臨床。

4. 建立了數據驅動框架(data-driven?framework)用來鑒定空間轉錄組的類群,該方法還可以廣泛應用于其他形態結構不像皮質薄層這么清晰的組織。

5. 建立了一個網頁應用程序,研究者們可以應用這些數據進行進一步的研究。

2

04. 分析方法

1. 通過描繪第 6 層(L6)和相鄰的白質(WM)之間的邊界結合每個組織切片的灰質 / 神經元,WM?/ 少突膠質細胞和 L5 的標記基因(SNAP25、MOBP 和 PCP4)識別 L5,確認每個樣品的方向。

3

2. 在每個組織切片中將空間轉錄組的 spot 數據壓縮到 6 層加一個白質水平(圖 A),主成分分析和 ANOVA,enrichment,pairwise 等模型都顯示了不同層之間的基因差異(圖 BCDE)。PCA 中主成分主要區分灰質和白質,第二個主成分主要區分不同層。

4

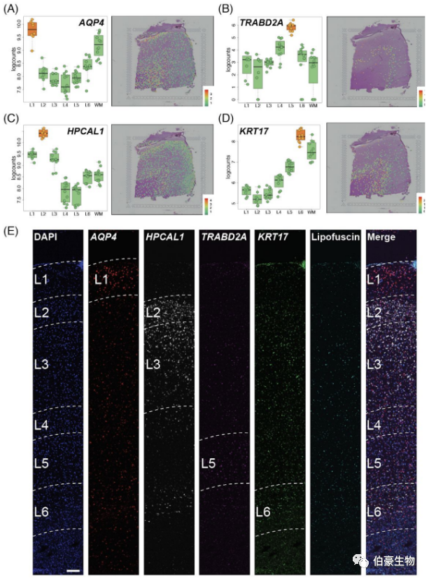
3. 本文研究者系統地評估了在成人 DLPFC 層富集基因表達數據集中先前鑒定的標記基因的穩健性。發現在之前報道中的層富集基因在空間轉錄組中也高度富集。并鑒定出了之前沒有報道過的 FABP7,?ADCYAP1,?PVALB 等層富集基因。原位雜交(ISH)和多路單分子熒光原位雜交(smFISH)技術也印證了空間轉錄組的鑒定出的新層富集基因。

5

6

4. 相關性熱圖顯示空間轉錄組的層富集基因和 snRNA-seq 的層富集結果有較高的相關性,同時結合 snRNA-seq 鑒定出的細胞類型結果確定了不同層的細胞類型。

7

5. 使用 SFARI 基因集數據庫(Abrahams?et?al.,?2013)明確了和 ADS 相關的基因富集在 L2,L5 和 L6 層。已經報道的 102 個 ASD 相關的基因集在空間轉錄組中富集在了兩個不同的層,53 個與自閉癥(ASD)相關的基因富集在 L5 層,另外 49 個與發育遲緩(DDID) 的經驗集富集在 L2 層,提示不同功能的神經元亞類可能對每個臨床亞類有貢獻。

8

6. 使用三種不同的“數據驅動”方法對空間 spot 進行聚類,這種“數據驅動”方法同樣適用于大腦的其他區域或者其他的組織。在每個樣本中使用 SpatialDE? 方法 ? 確定具有空間可變表達模式(SVGs)的基因集同時用 scran? 包確定高變基因集。這兩個基因集都不含層流信息(laminar?information)但是可以區分層流和非層流空間模式。比如 HBB,IGKC,NPY 等 SVGs 基因是非層流的,可能與血細胞,免疫細胞,抑制性神經元等分類相關。使用人工標注的層結果作為金標準,用校正后蘭德指數(ARI)比較了 unsupervised,?semi-supervised?and?markers 三種方法的性能。semi-supervised? 方法獲得 ARI。

9

文章中所使用的數據已及所有數據處理代碼都在網上提供(http://spatial.libd.org/spatialLIBD)。

05. 總結

鑒于空間轉錄組學將分子細胞類型與連接的形態、生理和功能相關聯系起來的前景,這些方法將是神經科學和精神病學轉錄組學的下一個前沿。該文章也為空間轉錄組的應用提供了一個新的思路和方向。


伯豪生物空間轉錄組測序服務優勢

高質量切片:切片、貼片經驗豐富,針對不同組織優化了解決方案。

流程化分析:完善的分析流程,準確快速解析空間轉錄組數據。

標準化內控:豐富的實操經驗構建了標準化的內控體系。

專業化團隊:資深的技術團隊具有多年項目方案設計、實驗操作、售后分析等經驗。

全流程服務:提供組織冷凍包埋、貼片、切片、透化、建庫測序及數據分析的全套服務。


更多伯豪生物人工服務:

伯豪學院單細胞測序服務人工客服


在線客服
登錄/注冊
在線留言
返回頂部